Proposed 6-unit apartment house on Gay Street returns to Rockland Planning Board
ROCKLAND — Alterations to a proposal to construct a 6-unit apartment house on Gay Street have been made, and developers will return before the Planning Board, Tuesday, Dec. 16, 2025.
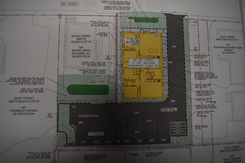
Broad Vision Builders, of Medford, Massachusetts, is proposing to build a three-story, 2,267-square-foot structure on the lawn at 26 Gay Street, parallel to the current house on the property. The current house is not a part of the development plans, according to the Code Enforcement Office.
Current plans, as of Dec. 12, are to have two apartments per level; each floor is to have one two-bedroom unit, and one three-bedroom unit.
Parking is to be behind the buildings. Current design shows six regular parking spaces and one ADA spot. The driveway to access the lot will be along the remaining space abutting the next property over (home of WRFR). The abutter on the other Gay Street side is the Penobscot Bay Language School.
-Map survey completed for Tara Shanker by Richards, Cranton, and Chapman LLC, Rockland.
-Civil Engineering: Acorn Engineering, Portland.
-Architect: Kyle Barker, Primary Projects PLLC, North Dighton, Massachusetts.
CITY OF ROCKLAND PLANNING BOARD AGENDA
Tuesday December 16, 2025 at 5:15 p.m.
Rockland City Hall Council Chambers
1 .Call to Order and Roll Call:
2. Communications:
3. Old Business:
4. New Business: Review an application(PB26-5) submitted by Broad Vision Builders LLC to construct a 6 unit apartment building located at 26 Gay St, Tax Map # 23-A-27 5.
Other:
- Memo and Ordinance discussion (every agenda)
- 2. #59 Zoning Map Amendment – 1 Park Drive (DT Zone) An amendment to the City’s Official Zoning Map changing the zone classification of the property located at 1 Park Drive (Tax Map #5-B-2) from a split between the Downtown Zone (DT) and Waterfront 2 Zone, to all Downtown Zone.
- #60 Zoning Map Amendment – Camden Street Terrace (Res. B) An amendment to the City’s Official Zoning Map changing the zone classification of properties located on Camden Street Terrace & Bay View Square from a split between Residential B Zone and Plaza Commercial Zone, to all Residential B Zone.
6. Public Comment:
7. Previous Meetings Minutes: November 4, 2025 & November 18, 2025
8. Adjournment:

